若拿了贵地,则有可能骑虎难下。

新房试金石
进入三月,深圳的新房开始加速。
各区都陆续有典型的项目获批预售。
最近位于龙华红山的联发红山新澍雅居也在冲刺阶段。

据市场消息,预计3月下旬开放营销中心和样板间,并在3月底取证入市。
这个项目是去年联发竞价65轮以12.12亿元斩获,溢价46.6%。
占地面积约1万㎡,规划建筑面积约4.3万㎡,计容建面约3.4万㎡,容积率3.09,绿化率32.49%,包含约2.7万㎡住宅、约500㎡裙房商业、约100㎡物业用房。

规划设计为屋面空中式园林,由3座主体楼+配套裙房组成。
其中1栋1-2单元25层约80米高,2梯6户;1栋3单元16层约53米高,住宅总共有332户,配360个车位。
由于项目容积率仅约3.09,又是板块内容积率低的新房,加上按照深圳建筑新规建设,被定义为红山及周边板块首个新规2.0项目。
所以,这个项目也将会是龙华区域,热门片区红山区域的典型项目,也是继2025年4月入市红山华府后入市的项目。
红山华府项目整体并不大,占地面积仅约0.5万平方米,建筑面积约3.59万平方米,容积率高达5.17,仅有一栋可售普通商品房,另一栋为回迁房,回迁房数量占比接近一半,车位比不足1:1,曾经被业内称为“蚊型”盘。
184套62~78平精装住宅,备案均价约80500元/㎡,总价区间约489万~652万,仍然实现了小时内日光,成为当年深圳第二个日光项目。
市场更是将项目定义为“红山片区最后一块住宅用地,过了这村就没这店”。
但明显如今的联发红山新澍雅居即将入市,打破了市场这条共识。
而这两个项目,同样位于红山板块,同样的产品定位。
联发红山新澍雅居与红山华府形成截然不同的产品分界线,体量更大,容积率更低,户型设计更新,布局和配套更好,纯商品房定位,宣称是“深圳新规先锋之作”“懂新青年生活的好房子”。


所以,即使项目体量小,市场会把联发红山新澍雅居作为龙华“好房子”新旧项目交替的标志,自然而然将项目的销售及市场后续表现作为市场的试金石。

定价关键
但市场明牌,即使市场期望值拉得比较高,项目也有不少难点。
首先是项目自身的定位属性。
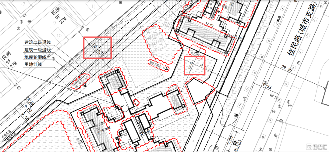
产品层面,项目地块为三角形地块,周边被道路和民房包围。
为了适应地块形状,项目楼栋呈一字形排开,部分户型采光、视野被近距离阻挡,楼栋之间与周边民房距离最近的仅16.63米。
其中1栋二单元与三单元距离最近的仅约18.51米,10楼以下户型开窗可能就是民房的阳台位置,隐私性相对较低。

社区较小,占地仅1.09万㎡,3栋住宅楼栋挤在一起无地面花园;
虽然规划机动车停车位为360个,车位配比约1:1.08(与332户住宅对应),但其中包含无障碍车位8辆、充电桩车位108辆;
户型有一定局限性,联发集团69㎡做3房、99㎡做4房,虽然填补了红山片区长期缺乏新增的纯小户型供应空白,但最小的户型卧室等空间较为局促。
其次项目地块成本摆在眼前。
如果要算一笔账,联发红山新澍雅居的市场胜算率也一般。
一是溢价46.6%抢下的龙华红山A817-0619宗地,总价12.12亿,楼面价4.45万/㎡,创下区域新高。
楼面价4.45万若加上+建安、税费、融资成本、运营成本等,保本价格业内预计需要到6.5万+/㎡,若项目要争取更多的利润,预计需要卖到7万+/㎡。

二是市场的成交也摆在眼前。
参考项目周边的新房开盘价格——
2024年12月深业颐樾府(三期)246套99~168平精装住宅,备案均价约72100元/㎡,总价区间约636万~1317万;
2024年6月深业颐樾府(二期)252套99~168平简装住宅,备案均价约69100元/㎡,总价区间约612万~1293万;
2023年6月深业颐樾府(一期)358套78~179平简装住宅,备案均价约71900元/㎡,总价区间约533万~1484万,截至3月17日依旧累计剩余139套住宅未售罄。
2021年1月入市的尚誉红山里,152套54~99平毛坯住宅,备案均价约73900元/㎡,总价区间约476万~765万,如果联发红山新澍雅居开盘价格达到7万+/㎡,市场很难接得住。
而尚誉红山里去年3月成交一套90.82平的户型,挂盘报价530万,实际成交总价519万,折合单价约5.71万/平。
2011年的金地上塘道65㎡两房,今年1—2月成交总价在307万—310万,单价约4.73万—4.77万/㎡;去年10月89㎡三房成交总价约440万,单价约4.91万/㎡。


2016年的星河传奇,4室89.05平米,今年1月7日成交,总价568万,单价63785元/㎡,挂牌报价625万,成交周期210天;4室86.79平米,今年1月5日成交,总价568万,单价约65446元/㎡,挂牌报价600万,成交周期152天。

再比如2012年的中央原著,88.05平3室,今年1月15成交,总价约628.8万,单价约71414元/㎡,挂牌报价660万,成交周期55天;143.34平4室,去年12月20日成交,总价943.8万,折合单价约65844元/㎡,挂牌报价1000万,成交周期255天。

联发新澍雅居若卖7万+,则比金地上塘道贵、星河传奇这些项目的二手成交价格贵一些。
而相较之下,这些小区社区成熟、近地铁、视野相对较开阔、物业稳定,作为一个三角地块、临农民房、楼间距最近仅约16米、临民塘路一定噪声。
同样的价格,市场如何会抉择?

新房预期的底线
但市场更值得注意的是,最近核心区核心地段的一些优质法拍房的出现。
现在市场压力最大的不是新房竞品之间的相互打折降价,而是核心区一些典型的优质小区法拍价,直接把市场的心理预期价格拉低。
比如位于福田传统豪宅区域香蜜湖的香域中央,小区挂牌均价约20万+/㎡,去年12月160.42平户型,成交总价2695万,折合单价约16.8万/㎡;

而近期阿里法拍平台上架一套建面约203.62平方米,起拍总价约1504万,折合单价仅7.5万/㎡,即使是评估价18800641.84元,评估单价也只有92332元/㎡,既刷新了该小区的法拍最低纪录,也比业主当年买入价还低。
而2024年2月同小区1栋8A的一套约133㎡房源法拍还能拍到约15万/㎡;
2023年8月同小区成交的一套203㎡的房源,总价5180万,单价高达25.52万/㎡,刷新了当时小区最高历史价。
两三年时间,市场的价格调整不止过半。
不止香蜜湖,宝安、南山的典型优质住宅,法拍也在调整——
比如南山华侨城板块的首地容御,3月16日一套144.61㎡户型法拍,起拍价7605213.43元,评估价9506516.79元,最终法拍成交总价9543213.43元,成交单价约65992.76元/㎡;

比如宝安中心板块的深业新岸线,334.34平大平层3月16日法拍,起拍价17536266.74元,评估价21920333.42元,评估单价约65563元/㎡,而实际成交价52450.4元/㎡,是市场评估价的8折。

再比如宝安中心板块的新锦安壹号公馆一套约353.91平户型即将法拍,起拍价24355803.07元,评估价30444753.84元,评估单价约86024元/㎡。

这意味着,福田、南山、宝安的核心地段的优质住宅,法拍价格水平都在7万—9万/㎡法拍。
那么对市场而言,买家心里就只有一句话——
香蜜湖、华侨城都7万—9万了,龙华红山凭什么卖6.5万—7万/㎡?若红山新澍雅居真卖7万+/平,为何要花钱买这里?
卖得便宜,容易亏本,现金流扛不住;卖得缺乏性价比,则市场不投票。
所以,联发新澍雅居这次的定价很关键。
若直接参考7万+的水平,则有可能直接卡在市场最尴尬的区间。
而对市场来说,项目交付的品质预期变得比过去更高,也更严格。
项目背靠联发集团,过去房企的品牌力还算有点口碑,但这几年,不乏一些质疑的声音。
比如合肥联发滨语听湖,作为标杆高端改善项目,2024年集中交付的过程,被爆出交付验房查出95个问题,空鼓、漏水、吊顶开裂;

比如深圳的项目,龙华联发臻著雅居今年1月提前交付,但被第三方验房机构指出存在浴室柜泡水、油烟机无逆止阀、入户门歪斜、墙砖空鼓等情况。


再如去年3月光明联发悦尚居项目即将交付,却被业主质疑货不对板。

更值得注意的是,联发集团的母公司业绩预告显示,2025年预计出现首次亏损,最高亏100亿,主因是被联发拖垮。


而联发已经连续三年利润为负,现金流吃紧,可见已经不是当年的稳健选手。
在这样的背景下,若预期联发在新澍雅居能用好材料、严施工,不计成本地建造,对市场的持币买家来说,需要一点赌性。
作者 | 醉酒大鲨鱼
免责声明:所有平台仅提供服务对接功能,资讯信息、数据资料来源于第三方,其中发布的文章、视频、数据仅代表内容发布者个人的观点,并不代表泡财经平台的观点,不构成任何投资建议,仅供参考,用户需独立做出投资决策,自行承担因信赖或使用第三方信息而导致的任何损失。投资有风险,入市需谨慎。

迁址公告
古东管家APP
关于我们
请先登录后发表评论